ঢাকা, শুক্রবার ২৭, মার্চ ২০২৬ ৮:০৪:৩০ এএম

First woman affairs online newspaper of Bangladesh : Since 2012

Equality for all
Amin Jewellers Ltd. Gold & Diamond
শিরোনাম
চট্টলা এক্সপ্রেসে অগ্নিকাণ্ড: আড়াই ঘণ্টা পর ট্রেন চলাচল স্বাভাবিক সীতাকুণ্ডে ঢাকাগামী চট্টলা এক্সপ্রেসে আগুন দৌলতদিয়া ফেরিঘাটে বাসডুবি: নিহত বেড়ে ২৩ বর্ণাঢ্য কুচকাওয়াজে স্বাধীনতা দিবস উদযাপন স্বাধীনতা দিবসে স্মৃতিসৌধে রাষ্ট্রপতি ও প্রধানমন্ত্রীর শ্রদ্ধা সংস্কারের অভাবে হারিয়ে যাচ্ছে বধ্যভূমি মহান স্বাধীনতা দিবস আজ

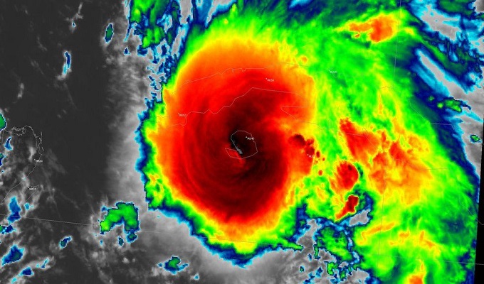
ধেয়ে আসছে হ্যারিকেন ইডা, যুক্তরাষ্ট্রে ঘর ছাড়ছে মানুষ

আন্তর্জাতিক ডেস্ক | উইমেননিউজ২৪

প্রকাশিত : ০২:১৮ পিএম, ২৯ আগস্ট ২০২১ রবিবার

ফাইল ছবি

ফাইল ছবি

আমেরিকার লুইজিয়ানা উপকূলের দিকে হ্যারিকেন ইডা যেভাবে চোখ রাঙিয়ে ধেয়ে আসছে তাতে ব্যাপক প্রাণ নাশ ও ক্ষয়ক্ষতির আশঙ্কা করছে মার্কিন কর্তৃপক্ষ। হাজার হাজার মানুষ নিরাপত্তার জন্য অন্য স্থানে পালিয়ে গিয়েছেন ইতিমধ্যে।

উষ্ণায়ণের প্রভাবে গোটা বিশ্বের জলবায়ু বিপর্যস্ত। অ্যান্টার্টিকার বরফ গলছে, যার প্রভাব পড়ছে সমুদ্রের জলস্তরে। বাড়ছে জলস্তরের উচ্চতা সেই সঙ্গে তাপমাত্রাও। এ কারণে বারবার নিম্নচাপ সৃষ্টি হওয়ায় বেড়েছে টাইফুন, টর্নেডো, হ্যারিকেন, সুনামি ও ঝড়ের প্রবণতাও। আমেরিকা, কানাডাসহ শীতপ্রধান দেশগুলিতেও বেড়েছে গড় তাপমাত্রা। এবার আতঙ্ক ছড়াচ্ছে হ্যারিকেন ইডা।

আজ রোববার সন্ধ্যায় মেক্সিকো উপসাগরে এই শক্তিশালী হ্যারিকেন আঘাত হানবে বলে আশংকা করা হচ্ছে। এই ঝড়ের গতিবেগ ঘন্টায় ২২০ কিলোমিটার।

লুইজিয়ানা উপকূলের বিভিন্ন এলাকার বাসিন্দাদের সরে যাওয়ার নির্দেশ দেওয়ার পরে অনেক রাস্তায় যানজট সৃষ্টি হয়েছিল।

গভর্নর জন বেল এডওয়ার্ডস শনিবার বাসিন্দাদের সতর্ক করে বলেন, এই ঝড়টি ১৫০ বছরের মধ্যে সবচেয়ে বড় ঝড়ে পরিণত হতে পারে।

তিনি বলেন, ‘আজ রাতে যখন আপনি ঘুমাতে যাবেন তখন যাতে আপনি ঝড়ের আঘাত থেকে মুক্ত থাকতে পারেন সেরকম জায়গায় থাকতে হবে এবং আপনাকে যতটা সম্ভব প্রস্তুত থাকতে হবে, কারণ আগামীকাল আবহাওয়া খুব দ্রুত খারাপ হতে শুরু করবে।’

এদিকে, প্রতিবেশী মিসিসিপির গভর্নরও জরুরি অবস্থা ঘোষণা করেছেন।

আমেরিকার রাষ্ট্রপতি জো বাইডেন বলেন, ‘ইডা খুবই বিপজ্জনক ঝড়ে পরিণত হচ্ছে। এর জন্য কেন্দ্রীয় সরকার সবরকম সহায়তা দিতে প্রস্তুত।’